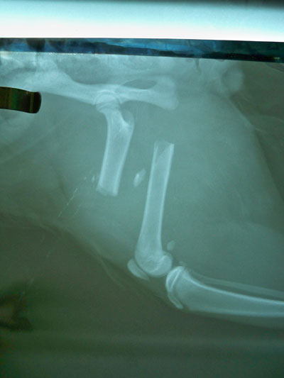
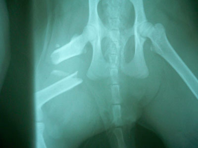
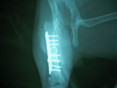
Γάτος ηλικίας 7 μηνών με κάταγμα μεσότητας διάφυσης μηριαίου οστού .Πραγματοποιήθηκε ορθοπεδικό χειρουργείο με μεταλική πλάκα κοχλίες και ορθοπεδικό σύρμα. Η αποκατάσταση ήταν 100% τα υλικά αφαιρέθηκαν 3 μήνες μετα .




Ωράριο : Δευτέρα - Παρασκευή 09:00 - 21:00. Σάββατο 09:00-17:00
Γάτος ηλικίας 7 μηνών με κάταγμα μεσότητας διάφυσης μηριαίου οστού .Πραγματοποιήθηκε ορθοπεδικό χειρουργείο με μεταλική πλάκα κοχλίες και ορθοπεδικό σύρμα. Η αποκατάσταση ήταν 100% τα υλικά αφαιρέθηκαν 3 μήνες μετα .



